Client Name
Lorem ipsum dolor sit amet, consectetur adipiscing elit. Ut elit tellus, luctus nec ullamcorper mattis, pulvinar dapibus leo.
Project Type
Lorem ipsum dolor sit amet, consectetur adipiscing elit. Ut elit tellus, luctus nec ullamcorper mattis, pulvinar dapibus leo.
Services Provided
Lorem ipsum dolor sit amet, consectetur adipiscing elit. Ut elit tellus, luctus nec ullamcorper mattis, pulvinar dapibus leo.
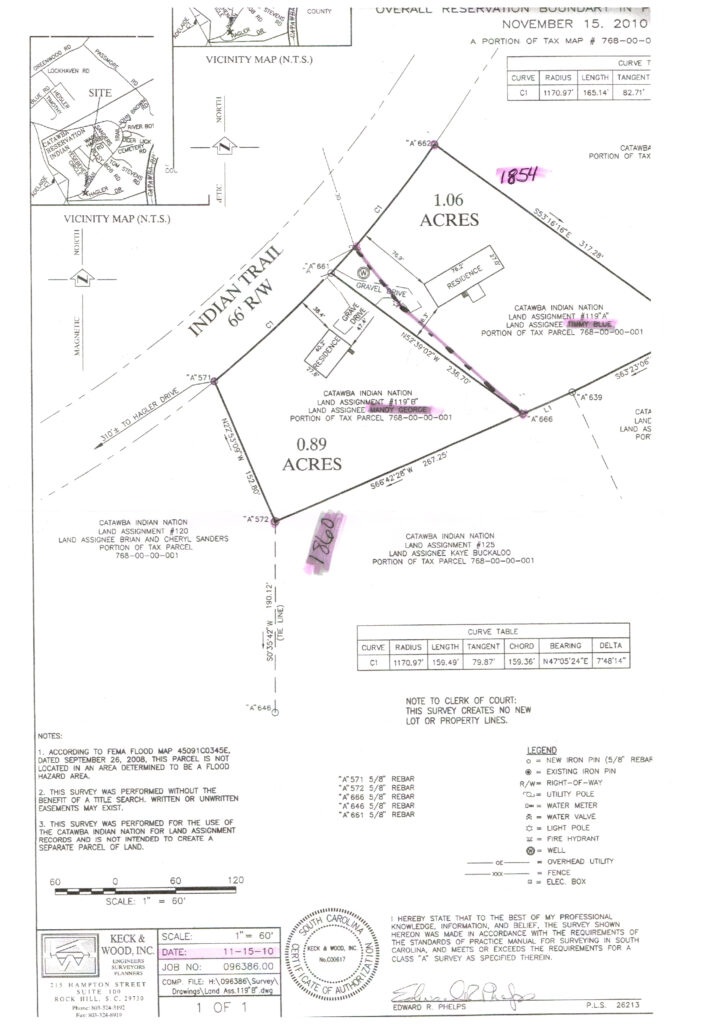
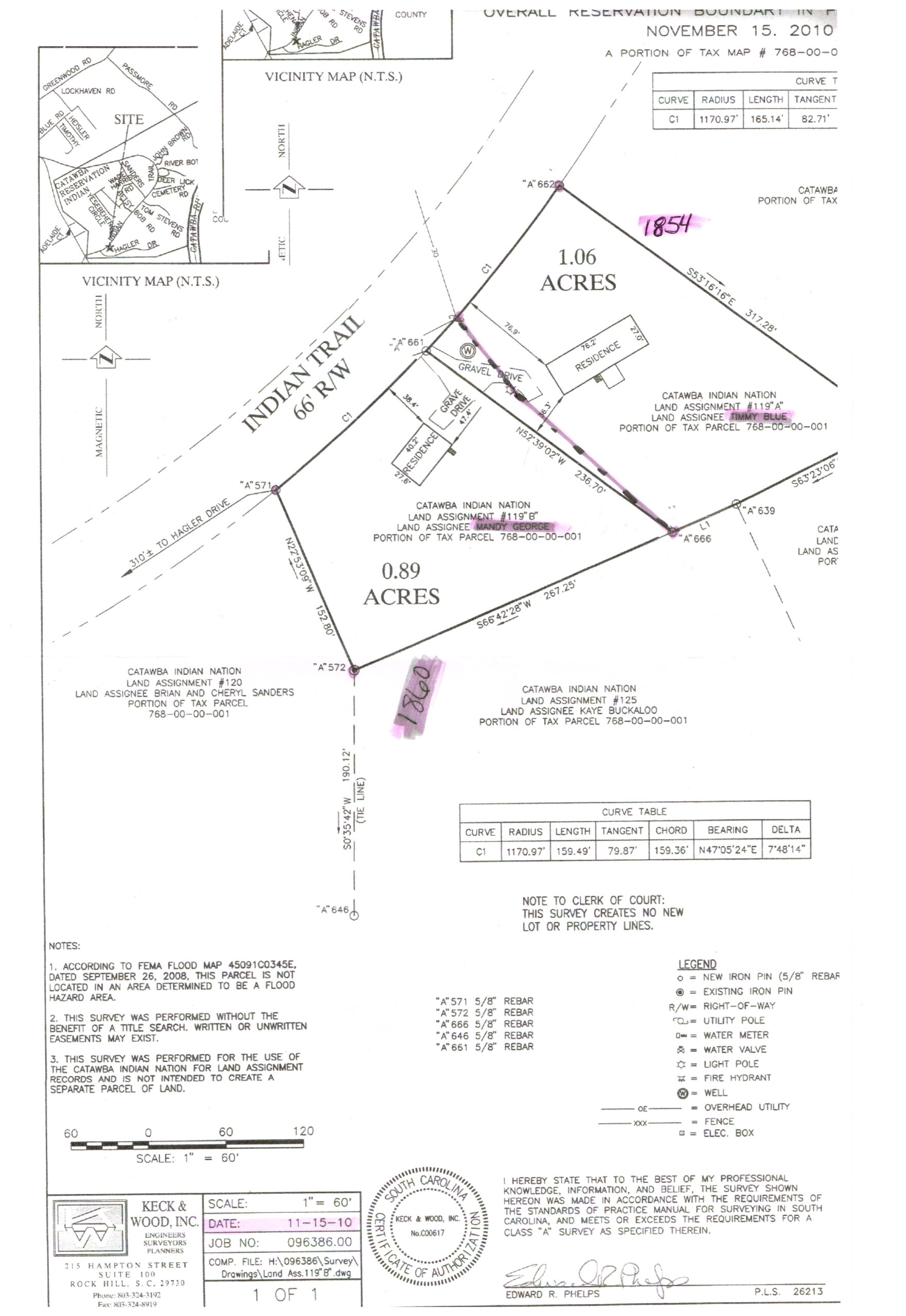
Keck + Wood provided land surveying and platting services for eight distinct tasks. These tasks involved updating plats for land assignments, locating roadways and fences, recombining and splitting parcels, and re-establishing boundaries with monument placement. The work included adjustments for roads like Wade Harris Road and John Brown Road, setting new lot geometries, and recovering/resetting boundary markers for precise land management.
